[이미지출처=연합뉴스]
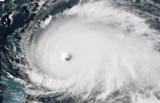
[아시아경제 뉴욕=김봉수 특파원] 허리케인 도리안이 카리브해 섬나라 바하마를 강타한 후 2등급으로 약화된 채 미 남동부 해안으로 향하고 있다.
3일(현지시간) AP통신 등은 미국 국립허리케인센터(NHC)을 인용해 이날 오전 11시 쯤 도리안의 최대 풍속이 시속 110마일(175km)로 약화돼 2등급으로 낮아졌다고 보도했다. 그러나 여전히 강한 바람과 높은 파도를 동반해 플로리다, 사우스캐롤라이나, 조지아주 등 미 남동부 해안 지역이 초긴장 상태다.
도리안은 바하마 프리포트 북쪽 약 45마일(70㎞) 지점에서 시속 2마일(4㎞) 속도로 서서히 북서진하고 있다. 플로리다주 웨스트 팜비치에서는 북동쪽 약 160㎞ 지점이다. 도리안은 지난 1일 시속 297km의 강풍을 동반한 채 바하마 북부 지역에 상륙한 후 시속 1~2km의 느린 속도로 움직이면서 막대한 피해를 입혔다. 최소 5명 이상이 사망한 것으로 보도됐고, 미 코스트가드의 헬리콥터에 의해 수송된 부상자수만 21명이 넘는다.
국제적십자사는 그랜드바하마섬, 아바코섬에서 약 1만3000채 이상의 건물이 전부 또는 일부 파괴됐으며, 약 6만명 이상이 음식과 물 등 구호의 손길을 기다리고 있는 것으로 파악하고 있다. 이에 국제적십자사가 50만달러의 구호금을 1차로 승인하는 한편, 유엔(UN) 구호팀이 현장에 파견돼 피해 규모를 파악 중이다. 미국 정부도 재난 대응팀을 파견해 돕고 있는 것으로 알려졌다.
지금 뜨는 뉴스
NHC에 따르면 도리안은 이날 밤까지 플로리다주에 접근하고 5일 늦게까지 조지아와 사우스캐롤라이나, 노스캐롤라이나 해안에 강력한 바람과 위험한 파도를 몰고 올 전망이다. 도널드 트럼프 대통령은 플로리다, 조지아, 사우스캐롤라이나주 등 3개 주에 비상사태를 선포한 상태다. 이들 3개주 200만명에게 강제 대피령 등 경고가 발령됐다. 그러나 도리안이 예상보다 해안 바깥에 머물면서 위협이 크게 약화됐다는 분석도 나오고 있다.
뉴욕=김봉수 특파원 bskim@asiae.co.kr
<ⓒ투자가를 위한 경제콘텐츠 플랫폼, 아시아경제(www.asiae.co.kr) 무단전재 배포금지>

